当前位置 > 项目频道 > 承包租赁项目 > 房产
项目基本信息
编号 FC00032269
名称 福建高速宁德东货车中转场站整体招租二次公告
挂牌价 详见公告
保证金 详见公告
挂牌开始日期 2025-09-29
挂牌结束日期 2025-10-24
是否延牌
联系人 邓先生、吴女士、陈女士
联系电话 0591-87809323、87315305、87270630
地址 福州市湖东路152号中山大厦A座22层
发布机构 福建省产权交易中心

一、项目简介

1、租赁标的挂牌价及保证金:

租赁标的

租赁面积

首年

租金挂牌价

(元)

竞价保证金

(元)

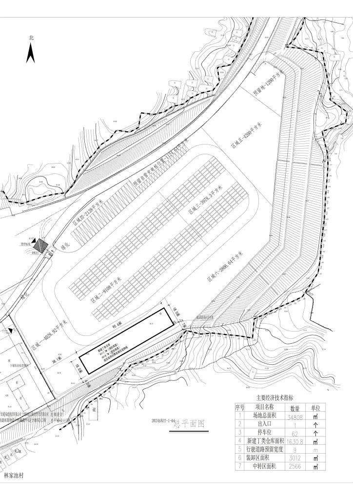
福建高速宁德东货车中转场站

43.34亩(28890.66㎡

983909.26

300000

以上租赁标的整体招租。

2、租赁标的基本情况

(1)标的场地位于漳湾镇官井村、右家塘村、马山村,沈海复线宁连段宁德东收费站东侧,租赁标的占地面积为43.34亩(28890.66㎡),已办理不动产权证:(2021)宁德市不动产权第0005528号,产权单位为福建省宁德高速公路有限公司,由福路通城乡发展(福建)集团有限公司负责招租。具体状况以实地勘测为准。

若在看样期至标的移交日期间现场发生变化,最终解释权归出租方所有,组织方不对现场状况进行保证及现场状况变化作出解释。

(2)租赁标的面积:43.34亩(28890.66㎡),以实地勘测为准。(其中区域一4028.92㎡;区域二9108㎡;区域三3978.3㎡;区域四2138㎡;区域五4200㎡;区域六3806.64㎡;丁类仓库一座1630.8㎡)。

3、(风险)提示

(1)承租方应当自行对照我国有关法律、法规、规章中的规定和监管要求,对自身的资格条件进行核查,并在自行咨询专业人士、相关方和监管机关的基础上自行判断是否符租赁为本招租项目承租方的要求,决定是否参与招租并租赁该标的,并自行承担由此产生的全部后果,包括但不限于费用、风险和损失等,并对报名参与招租所提交的相关材料的完整性、真实性、合法性、有效性负责。

(2)租赁期满后,场地内建筑物、供水、供电系统应保持完好移交给出租方,并不得要求任何补偿费用。

(3)本次标的质量和状况请竟价人自行现场看样,竟价人参与竟价的视为认可招租标的质量和状况,竟价成交后竟价人承诺不对标的质量、状况以及现有或潜在的风险和相关合同的条款提出任何异议。竞价人一旦缴纳竟价保证金并递交了资格文件,即表明已详尽了解招租标的相关情况,完全了解本次竞价标的质量和状况,全面行使了知情权,完全理解并同意放弃对这方面有不明及误解的权利,自愿承担由于对竞价标的质量和现状等了解不细或对潜在的风险估计不足等引起的一切责任和后果,并愿对自己参加竟价的行为负完全责任,竟价组织方和产权方不对竟价标的瑕疵及现有或潜在的风险承担任何担保责任。

4、租赁目的及用途:货车停车场、甩挂运输服务场、零担运输中转服务场,物流仓储。

5首年租金挂牌价及其他费用:人民币983909.26元。挂牌价为租赁标的首年年租金底价。装修、改造、搭建费用由承租方自行负责;自场地交接之日起,水电费及其经营所发生的税费由承租方负责。

6、租赁期限及租金递增方式:租赁期限60个月,从交付租赁标的之日起算,具体承租起止日以《福建高速宁德东货车中转场站租赁合同》约定为准。租金无递增。

7、免租期无免租期。

8、租金支付方式:租金按年支付,先付后用,承租方的首期租金应于《福建高速宁德东货车中转场站租赁合同》签订之日起7个工作日内转入出租方指定账户,其余应在每个缴款周期到期前10个工作日内将本周期的租金付清。。

9、履约保证金及其支付方式:承租方在合同签订后7个工作日内应向出租方缴纳履约保证金,履约保证金按合同总价的10%缴纳,该履约保证金不计利息,合同期满后,若承租方无违约行为,出租方应于15个工作日内退还履约保证金至承租方指定账户,履约保证金不计利息。因承租方违约造成合同解除的,出租方有权没收履约保证金。

10、合同签署:出租方与承租方应在成交结果公示结束次日起3个工作日内签订《福建高速宁德东货车中转场站租赁合同》。

11、资产交接与保护:出租方仅提供现有场地及地面构筑物,不负责其他改造费用。承租方须保留标的现场主体建筑的完整性,如需新建改建须符合相关法律法规标准,并提交书面装修方案至出租方,经同意后方可改建。建设期间若未按批复的建设方案进行施工,须立即整改,所造成的损失和费用由承租方负全部责任。

二、竞租人(承租方)应具备的资格条件

1、需具有独立法人资格;

2、承租方近三年不得存在重大经济违法;

3、本项目不接受联合租赁申请。

4、企业法人和法定代表人未被列入全国法院失信被执行人名单。【报名截止日在福建省失信被执行人联合惩戒平台查询情况不存在失信记录;且报名截止日在中国执行信息公开网(http://zxgk.court.gov.cn/)失信被执行人查询没有找到相关的结果】。

5、未被列入国家企业信用信息公示系统经营异常名录或者严重违法失信名单。

6、未与福建省高速系统有未解决的经济纠纷。

7、符合国家法律、行政法规规定的其他条件。

三、竞租人(承租方)应接受的主要租赁及经营条件

(1)承租方负责场地改造、场地备案、场地管理等工作。

(2)经营要求

①承租方不得转租、转借、转让与出租方的项目租赁权利,承租方变更经营范围须经出租方同意。在承租过程中,应服从高速公路及有关部门的管理,严格按照管理规定规范经营,承租方必须自行负责解决在装修和使用过程中涉及的有关手续和相关事宜(包括工商、税务登记、卫生、安全、环保、城市管理、特种行业管理、消防审批手续和验收等),并承担全部费用。租赁过程中产生安全责任事故均由承租方自行承担,出租方有权根据责任事故的情况要求承租方承担相应的违约责任。

②租赁过程产生的各种税费由出租方、承租方按国家相关规定各自承担,如有未规定的,由承租方承担。物业管理费、水费、电费及通讯费、电视收视费、卫生保洁费,以及消防、环保器材等经营管理的各项费用由承租方自行承担。

③经出租方同意后,承租方可以根据需要,在不影响房屋建筑安全性的前提下进行装修,装修费用由承租方承担。承租方如需改变房屋外墙立面、原有墙体结构及原有设施的,或者需要在横梁、外墙打孔凿洞的,应事先书面征得出租方同意,在取得出租方书面同意意见书后,方可进行装修的相关事宜。租赁期满或因承租方原因提前终止合同时,依附于房屋的固定装修(如隔墙、地砖或地板、吊顶、门、窗、壁橱、防盗网等)不计残值无偿归出租方所有,承租方不得恶意损坏和拆除。

(3)到期清场要求

合同期满或提前终止的,承租方应于期满或提前终止后15日内将场地、地面构筑物及场地配套设施以良好、规整的状态交还,出租方不需要留置的设施,承租方须完成拆除清理;未能按照约定交还的,出租方有权采取必要措施予以清理,由此发生的费用和造成的损失由承租方承担,出租方有权从合同履约保证金中支付,不足部分有权向承租方追偿。

(4)政策变化

租赁期内,如因国家规划、高速公路改扩建或上级有关部门的决定出租方需提前收回场地的,承租方应无条件将场地交回出租方,租金按照实际使用时间缴纳,承租方不得要求其他任何补偿费用。

(5)承租方须无条件全部签署、接受上述主要租赁条件和本项目《福建高速宁德东货车中转场站租赁合同》。

四、竞价方式:网络竞价。

五、竞价保证金:人民币30万元。

六、公告期限:2025年9月29日至2025年10月24日(若在此期间未征集到承租方,则公告期限以每5个工作日为一个周期顺延,直至2025年11月14日征集到承租方或另行公告为止)。

七、报名截止时间:2025年10月24日17时。有意参加竞价的竞租人请在公告期内联系我中心经办人员获取《竞价须知》。《福建高速宁德东货车中转场站租赁合同》等详见本项目《竞价须知》。                                                                                                                                                                                                                                                                                                                                                                                                                                                                                                                                                                                                                                                                                                                                                                                                                            

看样安排:看样时间暂定为20251022下午16时,意向承租方须提前联系出租方申请看样,并按照有关安全要求进场看样,否则出租方有权拒绝其看样申请。具体看样时间、顺延期看样时间及有关安排若有调整,以出租方最终确认安排为准。

、联系人:邓先生、吴女士、陈女士;

电话:0591-87809323、87315305、87270630;

地址:福州市湖东路152号中山大厦A座22层;

监督电话:0591-87810363。

福建省产权交易中心2025年9月29日